Search High Desert Homes & Acreage
Find Your Ground to Stand On.
Search High Desert homes and acreage for sale across Oak Hills, Hesperia, Phelan, Piñon Hills, Apple Valley, and Victorville.
Save
Ask
Tour
Hide
Share
$90,000
2 Days On Site
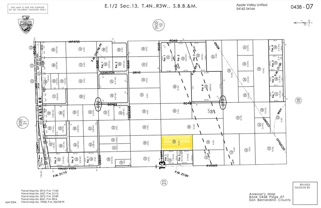
23777 Poppy RoadApple Valley, CA 92308
For Sale|Land|Active
County:
San Bernardino
Listed by Daniel Woo Song of CENTURY 21 LEADERS REAL ESTATE dredanielsong@gmail.com
Call Now: (951) 336-1873
Is this the listing for you? We can help make it yours.
(951) 336-1873



Save
Ask
Tour
Hide
Share
Mortgage Calculator
Monthly Payment (Est.)
$411Calculator powered by Showcase IDX, a Constellation1 Company. Copyright ©2026 Information is deemed reliable but not guaranteed.
Photos
Map
Nearby Listings
***AV/RL RS Zoning*** High Desert Residential Lot with Mountain Views*** Experience the beauty of wide-open desert landscapes on this residential parcel featuring stunning mountain views and fee simple absolute ownership. This RS-Zoned lot offers a great opportunity to build your custom home or invest in the growing High Desert area. ------> Seller’s family also owns an additional 5-acre parcel directly to the south of the subject property, which is also available for sale. Seller prefers to sell both parcels together
Save
Ask
Tour
Hide
Share
Listing Snapshot
Price
$90,000
Days On Site
2 Days
Bedrooms
N/A
Inside Area (SqFt)
N/A
Total Baths
N/A
Full Baths
N/A
Partial Baths
N/A
Lot Size
5 Acres
Year Built
N/A
MLS® Number
HD26071666
Status
Active
Property Tax
N/A
HOA/Condo/Coop Fees
N/A
Sq Ft Source
N/A
Friends & Family
React
Comment
Invite
Recent Activity
| 3 days ago | Listing first seen on site | |
| 3 days ago | Listing updated with changes from the MLS® |
General Features
Acres
5
Additional Property Use
Unimproved
Land Lease
No
Sewer
None
Special Circumstances
Standard
Utilities
OtherSewer Not AvailableWater Not Available
Water Source
None
Zoning
AV/RL
Save
Ask
Tour
Hide
Share
Exterior Features
Fencing
None
Road Frontage
Unimproved
View
DesertMountain(s)
Waterview
DesertMountain(s)
Community Features
Financing Terms Available
Cash
MLS Area
APPV - Apple Valley
Roads
Unimproved
This information is for your personal, non-commercial use and may not be used for any purpose other than to identify prospective properties you may be interested in purchasing. The display of MLS data is usually deemed reliable but is NOT guaranteed accurate by the MLS. Buyers are responsible for verifying the accuracy of all information and should investigate the data themselves or retain appropriate professionals. Information from sources other than the Listing Agent may have been included in the MLS data. Unless otherwise specified in writing, the Broker/Agent has not and will not verify any information obtained from other sources. The Broker/Agent providing the information contained herein may or may not have been the Listing and/or Selling Agent.
Neighborhood & Commute
Source: Walkscore
Disclosure: Community information and market data powered by Constellation Data Labs. Information is deemed reliable but not guaranteed.
Save
Ask
Tour
Hide
Share
Did you know? You can invite friends and family to your search. They can join your search, rate and discuss listings with you.